Haïti dans le viseur de Melissa : un ouragan de catégorie 4 s’approche dangereusement

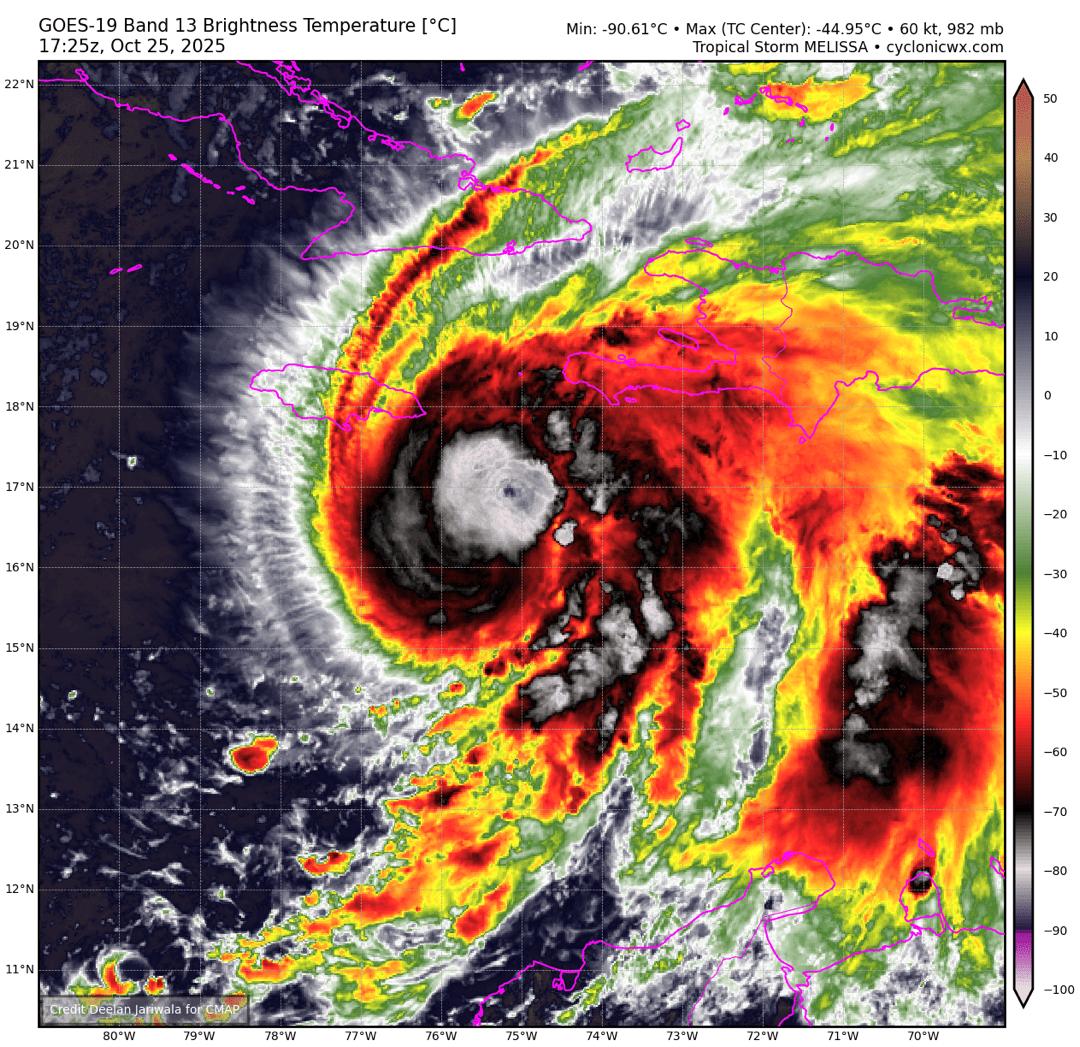
L’ouragan Melissa, désormais classé comme un phénomène de catégorie 4, continue de progresser en puissance au cœur des Caraïbes, suscitant une vive inquiétude, notamment en Haïti. Selon le dernier rapport émis par le Centre national des ouragans (NHC) dimanche soir, vers 20 heures, Melissa affiche des vents constants de 230 km/h et une pression centrale de 933 mb. Le système se déplace lentement vers l’ouest à une vitesse d’environ 7 km/h, selon les observations en temps réel.
Une surveillance d’ouragan (« Hurricane Watch ») a été déclenchée pour la péninsule sud-ouest haïtienne, depuis la frontière dominicaine jusqu’à Port-au-Prince, tandis qu’une alerte tempête tropicale (« Tropical Storm Warning ») couvre la même zone. Les autorités soulignent que des conditions de tempête tropicale sont attendues dans les 36 prochaines heures, avec une possibilité d’ouragan si la trajectoire du système se décale légèrement vers le nord.
Les responsables haïtiens surveillent de près l’évolution de la situation, soutenus par des modèles météo qui prévoient un passage proche du centre de Melissa à proximité de la Jamaïque mardi, puis vers le sud-est de Cuba mardi soir, avant d’atteindre les Bahamas mercredi. Le NHC prévient que des précipitations extrêmes, comprises entre 380 et 760 mm (jusqu’à 1 000 mm localement), pourraient frapper la Jamaïque, Haïti et la République dominicaine. Ces pluies intenses risquent de provoquer des inondations soudaines et des glissements de terrain, particulièrement dans les zones montagneuses haïtiennes.
Les côtes sud de Haïti, déjà fragilisées par des pluies intenses en septembre, pourraient également subir des vagues destructrices et une montée du niveau de la mer, selon la Direction générale de la protection civile (DGPC). Le NHC rappelle que l’alerte ouragan signifie une menace imminente dans les prochaines heures. Les habitants sont invités à finaliser leurs préparatifs d’urgence : sécuriser les logements, éviter les zones côtières et stocker de l’eau, de la nourriture et des médicaments essentiels.
Les provinces cubaines de Granma, Santiago de Cuba, Guantánamo et Holguín, ainsi que la Jamaïque, sont désormais placées en état d’alerte maximale. Des évacuations préventives ont été lancées dans certains secteurs. Une alerte tempête tropicale a également été activée pour Las Tunas, à Cuba. Le NHC exhorte les populations d’Haïti, de la République dominicaine, de Cuba et des Bahamas à suivre de près les mises à jour météorologiques, tandis que Melissa continue de s’intensifier dans les eaux chaudes de la mer des Caraïbes. Les autorités locales mettent en garde contre les risques cumulés de vent, de pluie et d’inondations, appelant à la vigilance et à la solidarité pour faire face à ce phénomène majeur.
Rédaction Kominotek NEWS

